DELAWARE, Ohio (WCMH) — A central Ohio luxury real estate developer is taking the next steps to continue building out a nearly 475-acre subdivision in southern Delaware.
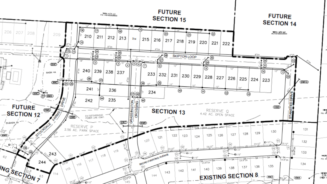
Romanelli and Hughes’ proposal to construct 35 single-family homes within section 13 of the 473-acre Terra Alta development was approved Aug. 7 by the Delaware Planning Commission. The developer’s plan will now head to city council for approval before construction can begin.
The proposal calls for section 13 to be built on 20 acres and include ranch homes spanning a minimum of 1,800 square feet and two-story homes a minimum of 2,000 square feet. This section would also feature more than four acres of open green space and two-and-a-half acres for a park.

About 575 homes have already been paved for Terra Alta, which will include about 870 homes once the subdivision is completed. The development is also set to feature a pool, clubhouse, pickleball courts and a full-size park.
Terra Alta is one of several other large developments taking shaping in Delaware. The commission approved in May a proposal to construct the last three of six phases making up Winterbrooke Place, a sprawling subdivision built by M/I Homes, Rockford Homes and Arlington Builders. Plans call for the development’s final three phases to include 84 lots, increasing the subdivision’s total footprint to about 260 homes.
Addison Rutherford is moving forward with plans to expand its central Ohio footprint by building more than 72 single-family homes across 22 vacant acres. The developer is one of several development companies owned by Jason Friedman — a prolific real estate developer also constructing Delaware’s sprawling 273-acre Addison Farms development.
Maronda Homes is building 655 homes as part of a residential and commercial development named “Donovan Farms” on a 114-acre site next to Boulder Park, east of South Section Line Road and west of Houk Road. Fincon Bowtown is developing 132 for-sale townhomes across a 16.8-acre site home to city-owned farmland, located north of Bowtown Road and west of the Village Gate Apartments complex.
